West One Marine
West One Marine
Project ID: LU 2025-020 CUP - 'West One Marine' (785-25-000127-PLNG)
Project Type: Land Use
Date Received: Tuesday, December 23, 2025
West One Marine
Decision Maker: Hearings Officer
Public Hearing Dates:
Hearings Officer, Friday, March 06, 2026 at 6:00 am, Sherwood City Hall - Community Room 22560 SW Pine Street
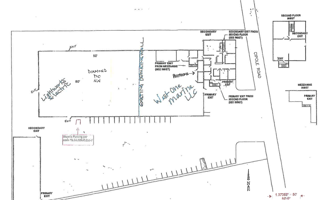
Proposal: An application for a Type III – Conditional Use Permit (CUP) to establish a use categorized as an automotive, boat, trailer and recreational vehicle storage use within an existing industrial building, initially approved under SP 85-07 and SP 88-6. The proposed use would occupy approximately ±12,500 square feet of the total ±32,000 square feet. The subject parcel is approximately ±2.0 acres in size, zoned General Industrial – GI, and located at 20525 SW Cipole Road (Washington County Assessors and Tax Lot Numbers: 2S128A/505).
Address: 20525 SW Cipole Road
Location: North of Tualatin-Sherwood Road, West of Cipole Road
Map/Tax ID: 2S128A/505
Staff Contact: Hugo Hamblin-Agosto, 503.625.4271
Decision: Pending
Welcome to the City of Sherwood’s Notification System, the city’s latest tool for providing residents with immediate information and warnings on water contamination, extreme weather warnings, unexpected road closures, etc. This is a free service provided by the City of Sherwood.